Wild carrot identification and control
Information about the noxious weed wild carrot. Wild carrot is also known by its Latin name, Daucus carota.
About this weed
Wild carrot is a non-regulated Class C noxious weed. This means due to how widespread it is, property owners are not required to control this species on their property, though it is encouraged.
Wild carrot is also on the Washington quarantine list and it is illegal to buy, sell or offer it for sale in the state. This listing excludes the culinary variety of wild carrot, Daucus carota ssp. sativus.
Wild carrot is known as Daucus carota and it is in the carrot family. It is also known as Queen Anne’s lace.

Why it's a problem
Wild carrot out competes native grasses and can taint milk if dairy cows ingest in large amounts. It can cause poor seed production with commercial varieties through hybridization. Control is required in certain areas because of the impact to commercial carrot growers.
Plant description
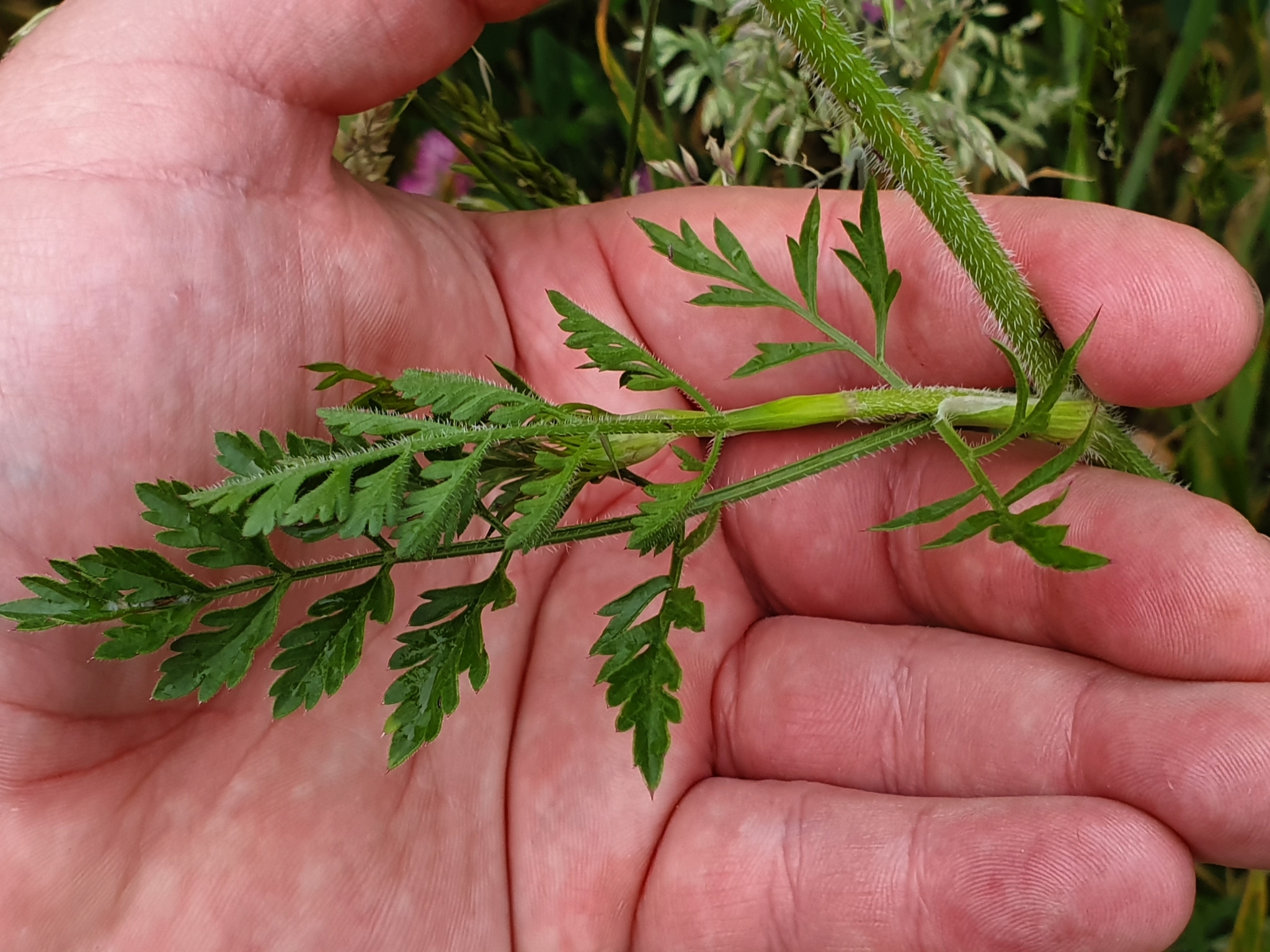
Wild carrot is a biennial (two-year life cycle) herb native to Eurasia. I can also occur as an annual (one year life cycle) or short-lived perennial (plants that have a 2+ year life cycle). The stem is covered with coarse, stiff hairs and has fern-like leaves that divide several times into small, toothed leaflets.
The flowers are small and white and grow in an umbrella-like pattern. These umbrella-like features are 2 to 4 inches in diameter and can have purple or pinkish flowers in the center.
The fruits are 1/8 to 1/16th inch long and flat on one side. The other side has rows of bristles on a curved surface. The plant reproduces by entirely by seed. Seed production estimates vary from 1000 to 40,000 seeds per plant. Plants overwinter as seeds or rosettes (a circular cluster of leaves on ground level). The flowering peaks in July and will continue until a hard frost.
Wild carrot grows in meadows, pastures, roadsides, and waste places. They are usually found in sandy or gravely soils and in wet areas. It occurs from sea level to up to 1500 feet in elevation.






Be aware of look-alike plants
Wild carrot can be mistaken with poison hemlock. Poison hemlock can be distinguished by the lack of hairs and purple reddish blotches on stems. When flowering, in contrast with poison-hemlock, wild carrot has one densely packed umbrella-shaped flower cluster on a narrow, hairy stem, usually with one purple flower in the center of the flower cluster and is usually 3 feet tall or less. Wild carrot also flowers later in the summer.
Other similar looking plants are members of the parsley/carrot family such as fennel, chervil, and anise, including:
- Poison hemlock (Conium maculatum)
- Rough chervil (Chaerophyllum temulum)
- Wild chervil (Anthriscus sylvestris)
- Bur chervil (Anthriscus caucalis)
When in doubt, take photos and share them with us or report them on iNaturalist.
What to do if you find it
Because wild carrot is so widespread, property owners in King County are not required to control it. King County is not generally tracking infestations. We can provide advice on how to control wild carrot, but there is generally no legal requirement to do so. The King County Noxious Weed Control Board encourages property owners to remove wild carrot where possible, and to avoid introducing it to new landscapes.
Prevention is a much easier route than controlling an established infestation. Seeds can be carried on shoes, clothing, tools and vehicles, so special care should be taken to clean off after entering areas infested with this plant.
Consult your local master gardener group or try the Garden Hotline for tips and tricks on managing garden weeds.
Control methods
We recommend using a combination of methods to control wild carrot. In areas with few weeds, it is important to act quickly before they become harder to control. Make a long-term plan as it often takes several years to get rid of most weeds. Start in the least infested areas first and then move into more heavily infested areas.
Maintaining a healthy stand of native, desirable vegetation can reduce wild carrot infestations.
Manual control
During the first year when plants are 7 to 10 inches tall, hand pulling can be effective. Care must be taken to remove most of the taproot.
Mechanical control
Repeated cultivation promotes seed growth, which depletes the seed bank and destroys seedlings before they can mature.
Chemical control
Herbicides are most effective when applied to seedlings. Annual application may be required until the seed bank is depleted.
See the PNW Pest Management Handbook for the most up to date and specific method for chemical control of wild carrot.
Stay safe when using herbicide:
- Always read the label before use.
- Wear a long-sleeved shirt, long pants, shoes, and eye protection.
- Follow state and local regulations.
Disposal instructions
Cut and bag flowers to prevent seed spread. Compost the rest of the plant.
Washington State Noxious Weed Control Board pamphlet on noxious weed disposal